# 7803 Dzierżawa gruntu rolnego, pow. 1,20 ha
Przetarg na 10-letnią dzierżawę gruntu rolnego Powierzchnia:…
# 7802 Dzierżawa jeziora, pow. 19,87 ha
Przetarg na 10-letnią dzierżawę jeziora Powierzchnia: 19,87…
# 7801 Dzierżawa jeziora, pow. 25,20 ha
Przetarg na 10-letnią dzierżawę gruntu rolnego Powierzchnia:…
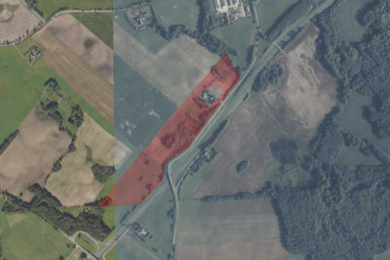
# 7799 Dzierżawa gruntu rolnego, pow. 1,37 ha
Przetarg na dzierżawę gruntu rolnego Powierzchnia: 1,37…
# 7798 Dzierżawa jeziora, pow. 4,27 ha
Przetarg na 10-letnią dzierżawę jeziora Powierzchnia: 4,27…
# 7797 Dzierżawa jeziora, pow. 1,97 ha
Przetarg na 10-letnią dzierżawę jeziora Powierzchnia: 1,97…
# 7796 Dzierżawa gruntu rolnego, pow. 3,51 ha
Przetarg na 5-letnią dzierżawę gruntu rolnego Powierzchnia:…
# 7794 Dzierżawa gruntu rolnego, pow. 0,50 ha
Przetarg na 3-letnią dzierżawę gruntu rolnego Powierzchnia:…
# 7793 Dzierżawa gruntu rolnego, pow. 17,34 ha
Przetarg na dzierżawę 3-ch kompleksów gruntu rolnego…
# 7791 Sprzedaż gruntu rolnego, pow. 4,29 ha
Przetarg na sprzedaż gruntu rolnego Powierzchnia: 4,29…
# 7790 Dzierżawa gruntu rolnego, pow. 1,31 ha
Przetarg na 3-miesięczną dzierżawę gruntu rolnego Powierzchnia:…
# 7789 Dzierżawa gruntu rolnego, pow. 49,25 ha
Przetarg na 5-letnią dzierżawę 5-u kompleksów gruntu…
# 7788 Dzierżawa gruntu rolnego, pow. 21,75 ha
Przetarg na 10-letnią dzierżawę 4-ch kompleksów gruntu…
# 7787 Dzierżawa gruntu rolnego, pow. 1,66 ha
Przetarg na dzierżawę gruntu rolnego na czas…
# 7786 Dzierżawa gruntu rolnego, pow. 266,12 ha
Przetarg na 7-miesięczną dzierżawę 5-u kompleksów gruntu…
# 7785 Sprzedaż gruntu rolnego, pow. 24,27 ha
Przetarg na sprzedaż gruntu rolno-leśnego Powierzchnia: 24,27…
# 7784 Sprzedaż gruntu rolnego, pow. 22,34 ha
Przetarg na sprzedaż gruntu rolnego Powierzchnia: 22,34…
# 7781 Dzierżawa gruntu rolnego, pow. 11,51 ha
Przetarg na 3-letnią dzierżawę gruntu rolnego Powierzchnia:…
# 7780 Dzierżawa gruntu rolnego, pow. 8,69 ha
Przetarg na 10-letnią dzierżawę gruntu rolnego Powierzchnia:…
# 7779 Dzierżawa gruntu rolnego, pow. 3,65 ha
Przetarg na 10-letnią dzierżawę gruntu rolnego Powierzchnia:…




















